Before and After Photos Eyelid Lift
Our before-and-after photos showcase the results of sometimes highly complex corrections: upper eyelid lifts combined with brow elevation, lower eyelid tightening, correction of eye bags and dark circles — either alone or together with lower eyelid tightening — as well as the treatment of festoons and the use of the mini midface lift for ectropion prevention. These procedures, particularly in the lower eyelid area, require extensive experience to achieve a naturally rejuvenated and expressive result.
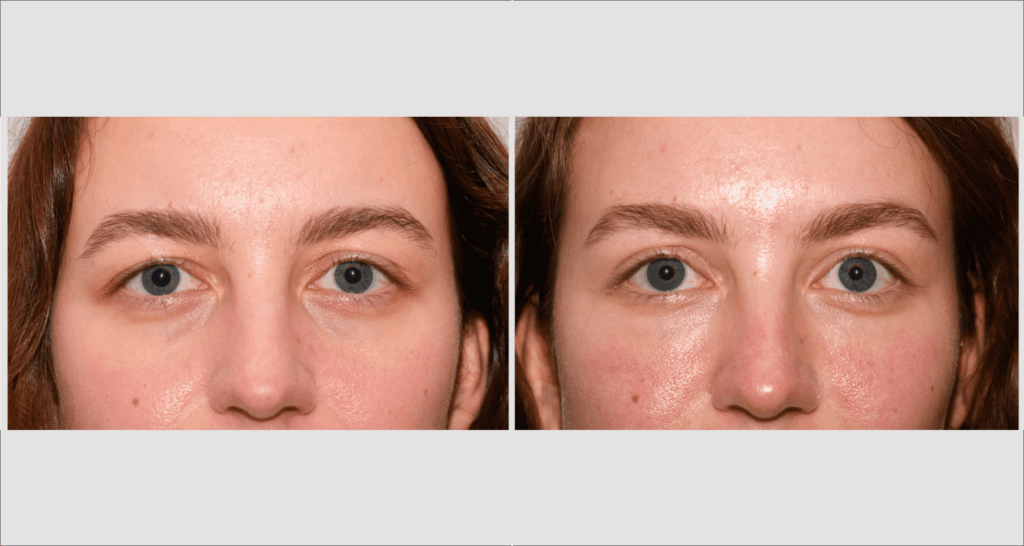
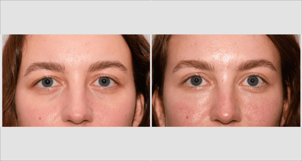
Correction of Dark Circles with Autologous Fat without Tightening































Eyebrow Lift without Upper Eyelid Tightening, Lateral or Full (Forehead Lift)



















Upper Eyelid Lift with Lateral Brow Lift, with or without Additional Correction of Dark Circles Using Autologous Fat
























Eye Bag and Dark Circle Correction (Transconjunctival) without Lower Eyelid Tightening





































Lower Eyelid Tightening with or without Correction of Eye Bags and Dark Circles, Mini Midface Lift, and Canthopexy














Correction of Droopy “Dog Eyes” (Canthoplasty)


Combined Upper and Lower Eyelid Lift





































More Before and After
Before and After Images of Nose correction
Our before-and-after images show individually tailored rhinoplasties – from straightening the nasal ...
Fall ansehen →
Before and After Photos of Facelift
Our before-and-after photos show impressive results following facelift procedures – ranging from ...
Fall ansehen →
Before and After Photos of breast reduction
Our before-and-after images show beautiful results following breast reductions. In addition to ...
Fall ansehen →