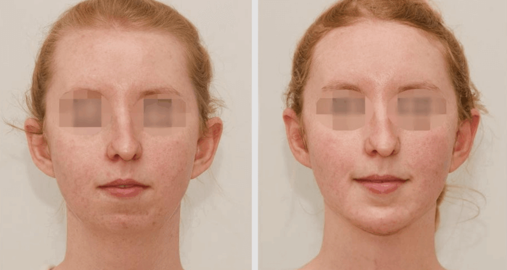
Before and After Photos of Chin Correction
Our before-and-after photos show partially complex chin corrections — from simple augmentations with implants or chin reductions through bone contouring to complementary procedures such as platysma tightening and fat removal to simultaneously correct a double chin. These procedures require extensive experience, as the chin plays a decisive role in facial harmony. The goal is always to achieve a balanced, naturally appearing profile and aesthetically harmonious facial proportions.
Enlargement


































Reduction


















More Before and After
Before and After Photos – Vampire Lift
Our before-and-after photos show impressive results following a Vampire Lift – an ...
Fall ansehen →
Before and After Photos of Thigh Lift
Our before-and-after images of thigh lift procedures show significant improvements in contour ...
Fall ansehen →
Before and After Photos of Botox Treatments
Our before-and-after photos showcase advanced Botox treatments — for example, to smooth ...
Fall ansehen →