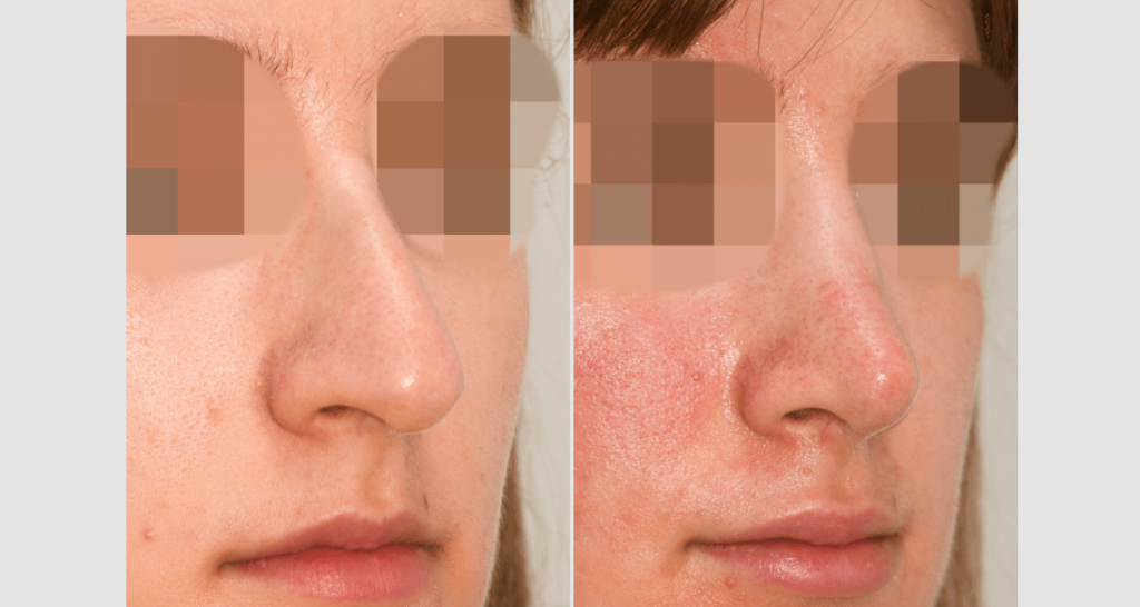
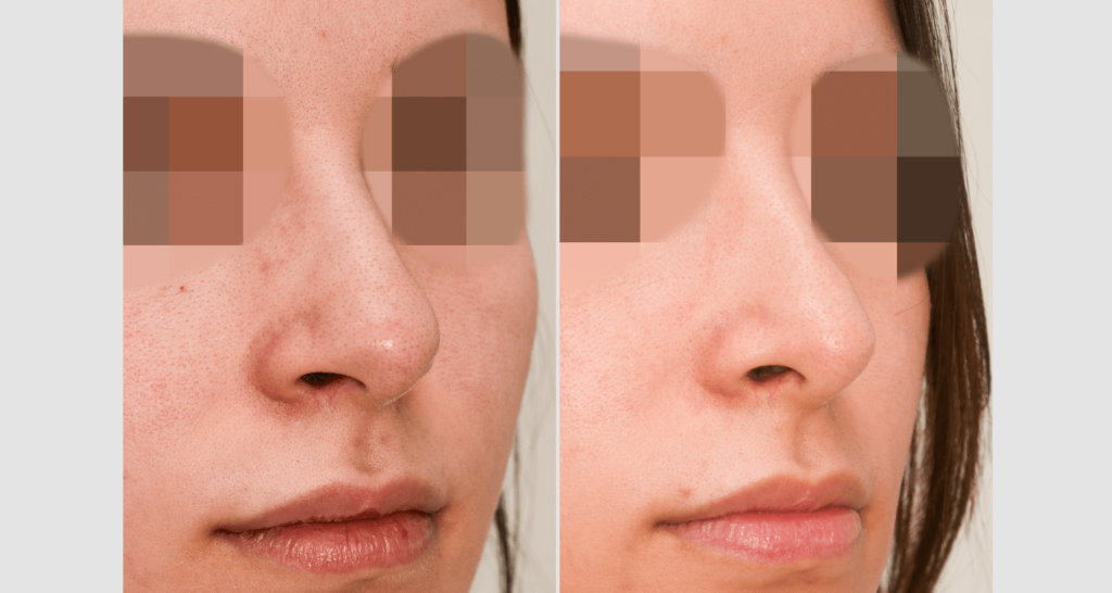
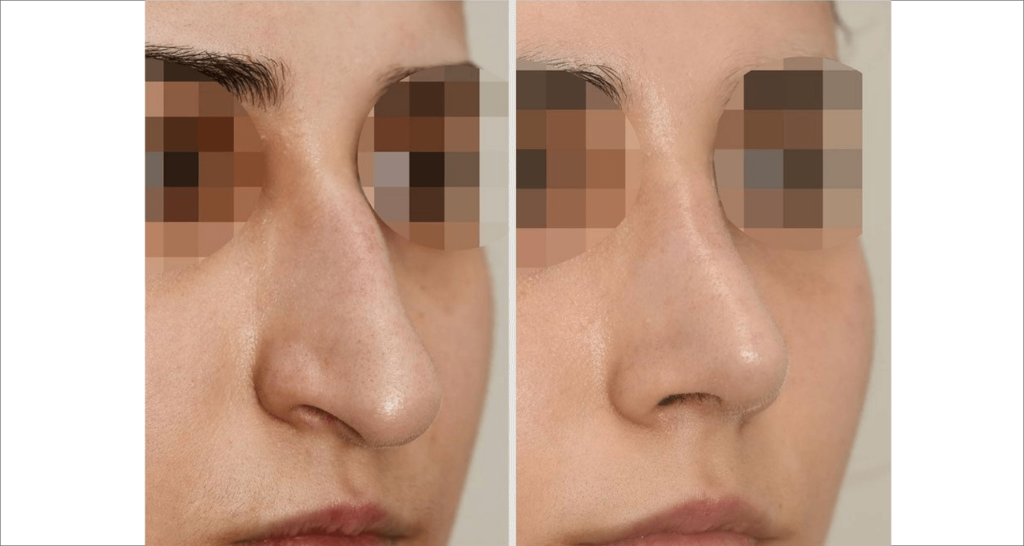
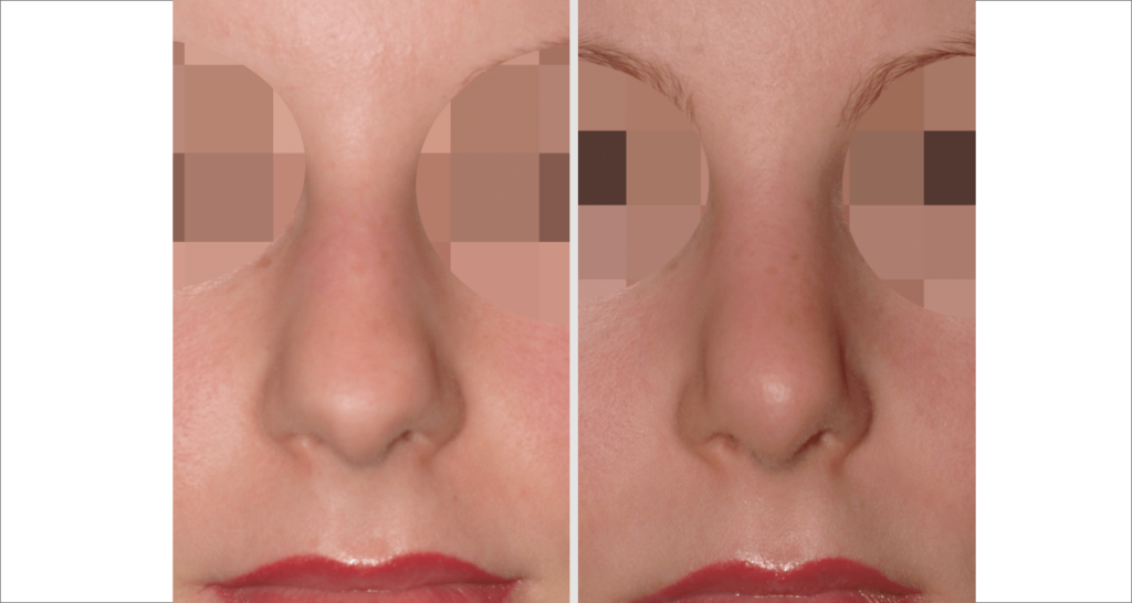
Before and After Images of Nose correction
Our before-and-after images show individually tailored rhinoplasties – from straightening the nasal bridge and refining the nasal tip to combined procedures that also improve breathing function. Whether aesthetically or medically motivated, rhinoplasty is by far the most complex procedure in aesthetic surgery and requires the highest precision and extensive experience to achieve a harmonious and, above all, natural-looking overall result.















































































More Before and After
Before and After Photos of breast augmentation with autologous fat
Our before-and-after pictures show particularly aesthetic results after breast enlargements with autologous ...
Fall ansehen →
Before and After Photos of Thigh Lift
Our before-and-after images of thigh lift procedures show significant improvements in contour ...
Fall ansehen →
Before and After Photos Eyelid Lift
Our before-and-after photos showcase the results of sometimes highly complex corrections: upper ...
Fall ansehen →