Before and After Photos of Facelift
Our before-and-after photos show impressive results following facelift procedures – ranging from classic, minimally invasive techniques to modern, combined liftings using the deep plane approach. In these procedures, sagging facial areas are gently lifted, contours are refined, and the overall appearance is visibly rejuvenated. Especially for comprehensive procedures in the midface and lower face, the highest level of precision and experience is essential to achieve a natural, fresh, and harmonious result. The facelift is the royal discipline of aesthetic surgery – compare the results before choosing your surgeon!















































































More Before and After
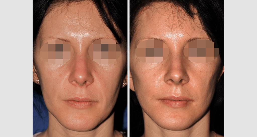
Before and After Photos of Autologous fat transfer
Our before-and-after images show truly impressive results after autologous fat transfer — ...
Fall ansehen →
Before and After Photos Eyelid Lift
Our before-and-after photos showcase the results of sometimes highly complex corrections: upper ...
Fall ansehen →
Before-and-after images of ear correction
Our before-and-after images of ear correction (otoplasty) show how protruding or asymmetrical ...
Fall ansehen →