Vorher/Nachher

Vorher/Nachher Behandlungsbeispiele

Jedes Ergebnis ist individuell und hängt von persönlichen Faktoren ab. Die gezeigten Bilder dienen zur Veranschaulichung und stellen keine Garantie dar.

Side-by-side comparison of skin improvement after vampire facial treatment.

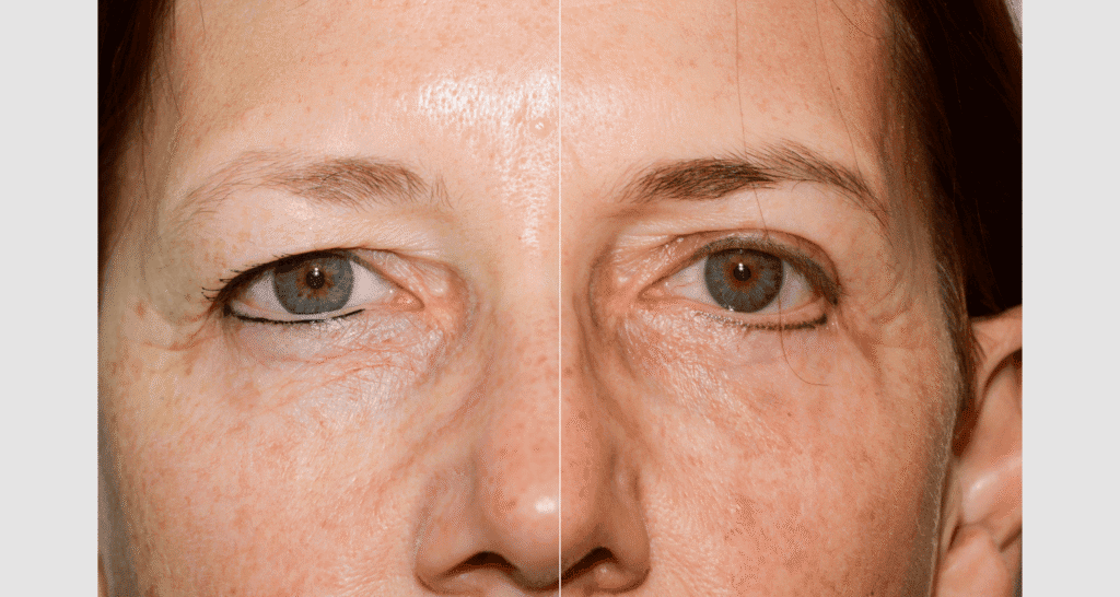
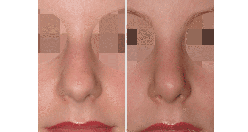
Nahaufnahme der Hautverbesserung im Bild Vampire lift

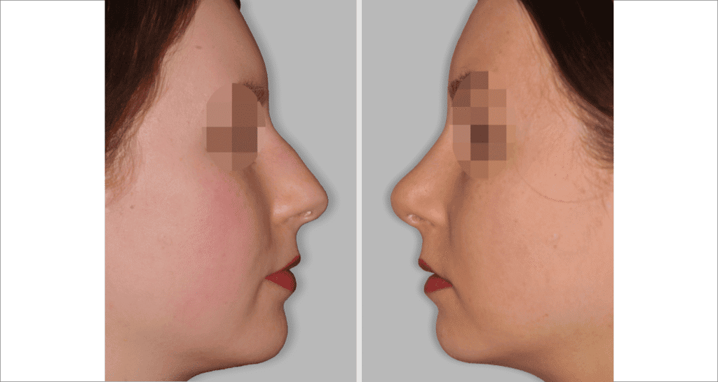
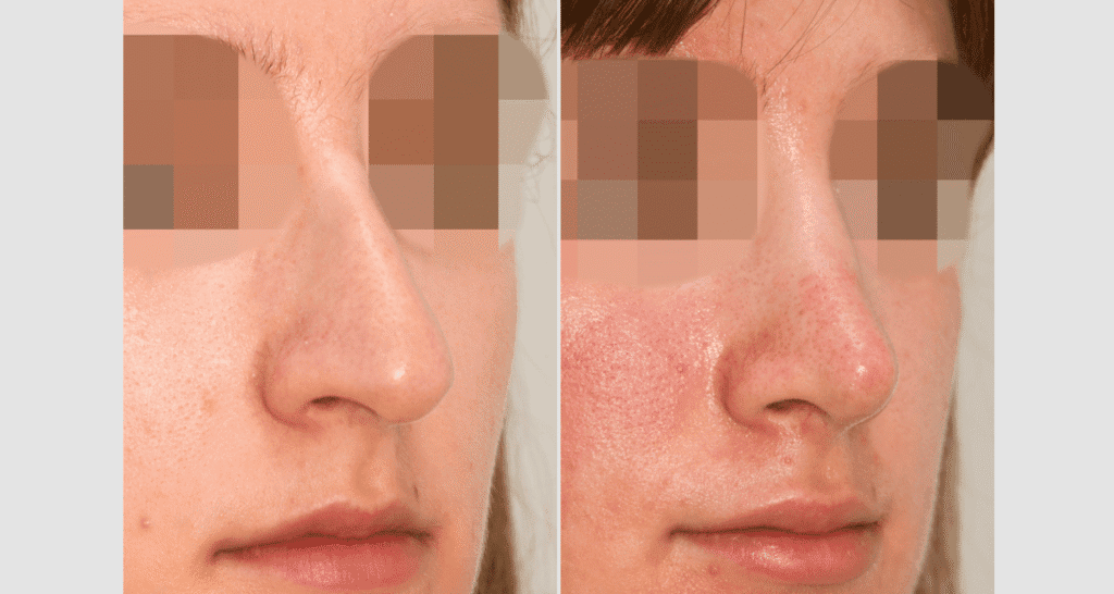
Vorher nachher bilder vampire life bei einer frau mit schwarzen haaren nahaufnahme

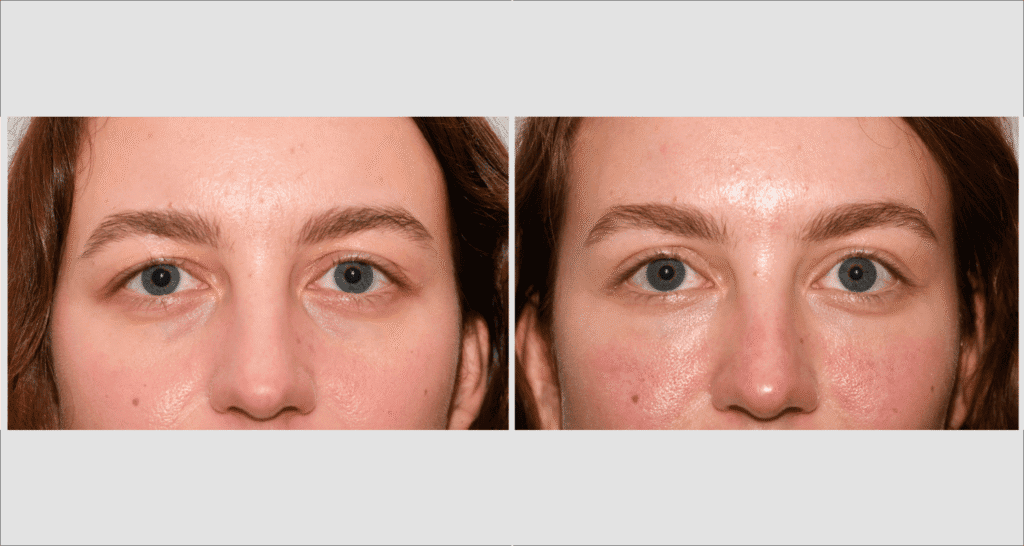
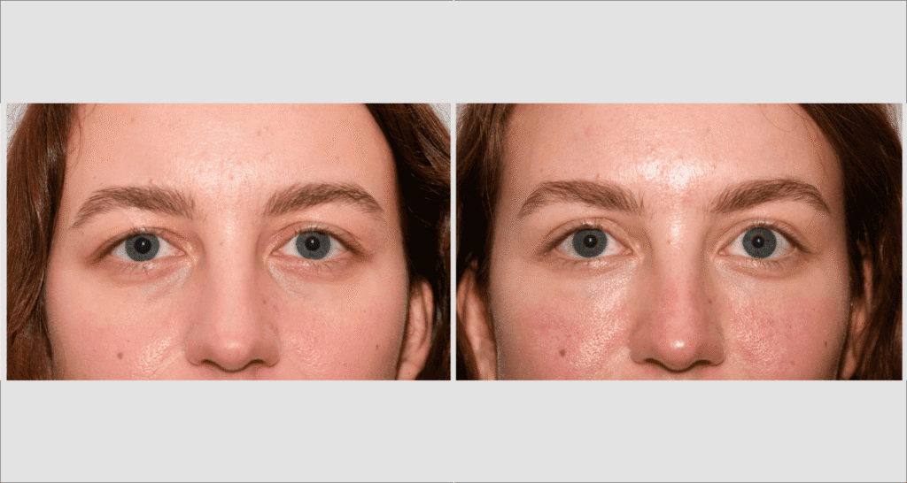
Vorher nachher bilder vampire life bei frau

Vorher nachher bilder vampire life bei frau

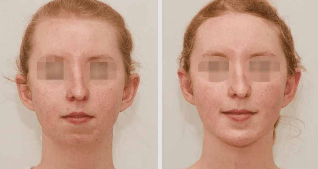
Vorher nachher bilder blonde frau vampire life

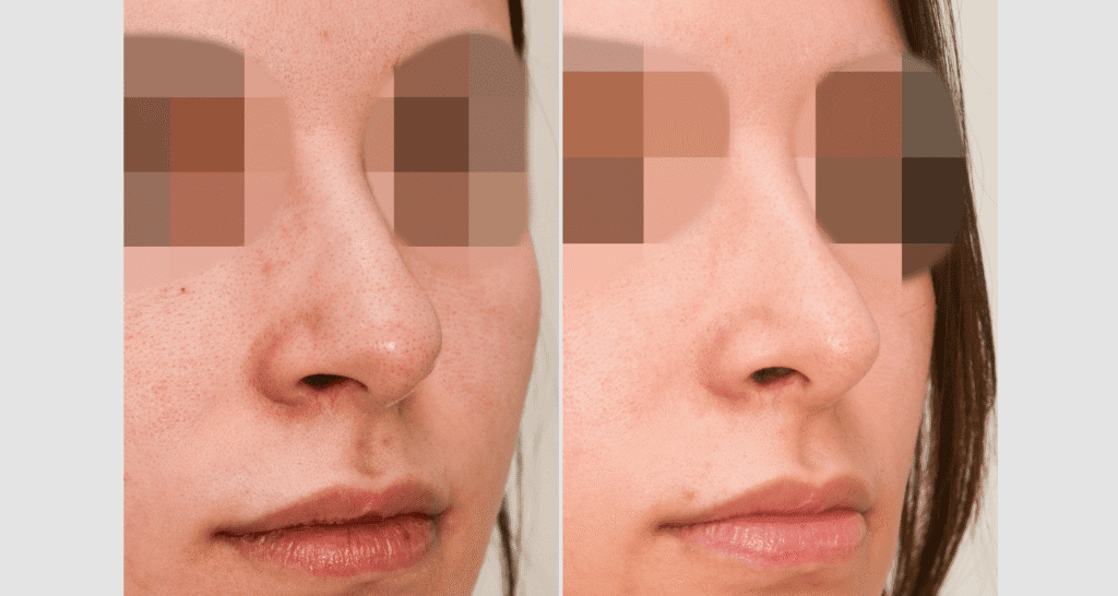
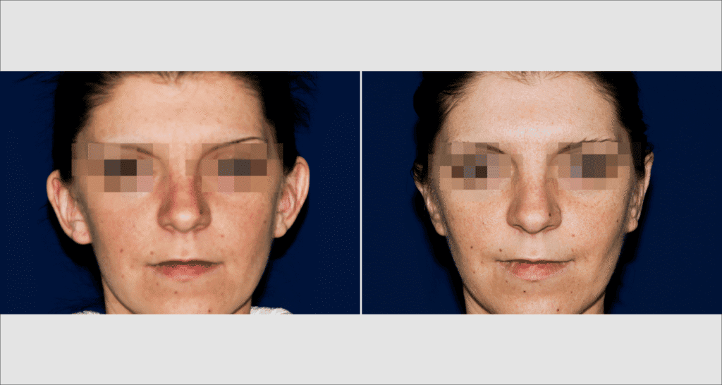
Vorher nachher bild vampire life

Vorher nachher bilder vampire life

Vorher/Nachher Ergebnis: Brustrekonsturktion

Kontakt

Interesse an einer Beratung?

Vereinbaren Sie jetzt einen unverbindlichen Beratungstermin.
Dr. Edvin Turkof Schönheitschirurg